Source:Mewes-plan
From Pittsburgh Streets
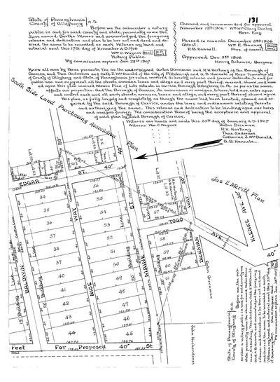
"Mewes plan of lots: Situate in Carrick Boro. All'y Co. Pa.: Laid out by Bertha Mewes." Laid out Nov. 1906; recorded Feb. 26, 1907, Plan Book 23, pp. 130–131. Allegheny County Recorder of Deeds 3782519.
"Mewes plan of lots: Situate in Carrick Boro. All'y Co. Pa.: Laid out by Bertha Mewes." Laid out Nov. 1906; recorded Feb. 26, 1907, Plan Book 23, pp. 130–131. Allegheny County Recorder of Deeds 3782519.