File:Mewes plan.tiff
From Pittsburgh Streets
Size of this JPG preview of this TIF file: 440 × 599 pixels. Other resolution: 1,503 × 2,048 pixels.
Original file (3,450 × 4,700 pixels, file size: 233 KB, MIME type: image/tiff, 2 pages)
Summary
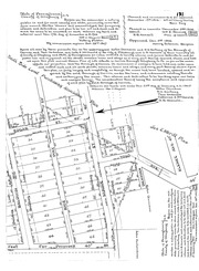
"Mewes plan of lots: Situate in Carrick Boro. All'y Co. Pa.: Laid out by Bertha Mewes." Laid out Nov. 1906; recorded Feb. 26, 1907, Plan Book 23, pp. 130–131. Allegheny County Recorder of Deeds 3782519. [view source] mewes-plan
File history
Click on a date/time to view the file as it appeared at that time.
| Date/Time | Thumbnail | Dimensions | User | Comment | |
|---|---|---|---|---|---|
| current | 12:28, 21 August 2025 | 3,450 × 4,700, 2 pages (233 KB) | Bkell (talk | contribs) | {{Source:Mewes-plan}} |
You cannot overwrite this file.
File usage
The following 2 pages use this file:

