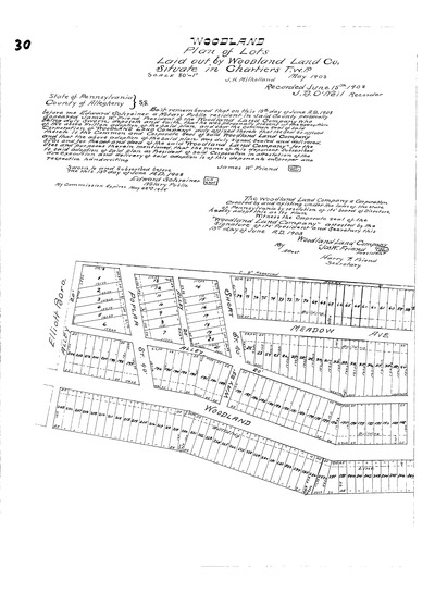
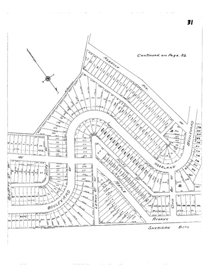
Source:Woodland-plan

From Pittsburgh Streets

"Woodland plan of lots: Laid out by Woodland Land Co.: Situate in Chartiers T.w.p." Laid out May 1903; recorded June 15, 1903, Plan Book 21, pp. 30–32. Allegheny County Recorder of Deeds 3782029.