Source:Stanton-place-plan

From Pittsburgh Streets

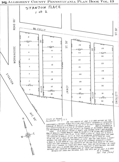
"Stanton Place: Plan of lots situated in 18th. Ward, Pgh Allegheny Co., Pa.: Laid out for John R. Negley's heirs." Laid out Nov. 1892; recorded Mar. 17, 1893, Plan Book 13, pp. 142–143. Allegheny County Recorder of Deeds 3780886.