Source:Shaw-boulevard-plan

From Pittsburgh Streets

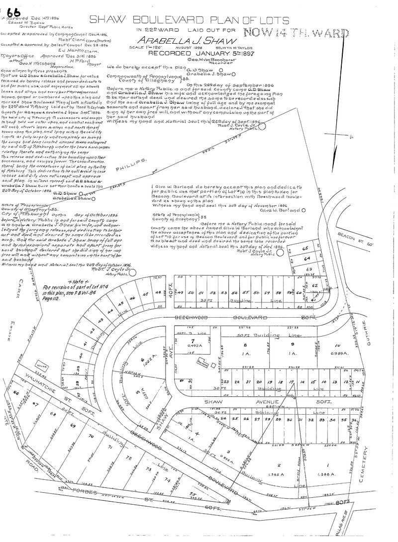
"Shaw Boulevard plan of lots in 22d Ward laid out for Arabella J. Shaw." Laid out Aug. 1896; recorded Jan. 5, 1897, Plan Book 16, p. 66. Allegheny County Recorder of Deeds 3781256.