Source:Schenley-road-plan
From Pittsburgh Streets
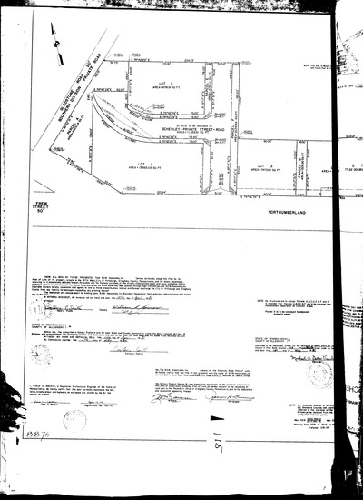
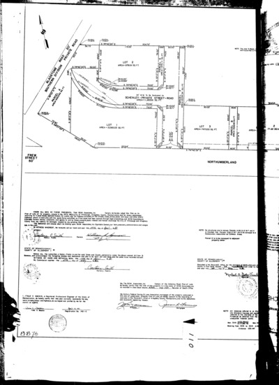
"Schenley Road plan of lots: Situate in 14th Ward, City of Pittsburgh, Allegheny County, Pennsylvania: Made for B. D. W. Associates, Inc." Laid out Apr. 13, 1981; recorded May 1, 1981, Plan Book 119, pp. 34–36. Allegheny County Recorder of Deeds 3794283.
