Source:Sarah-b-fetterman-plan
From Pittsburgh Streets
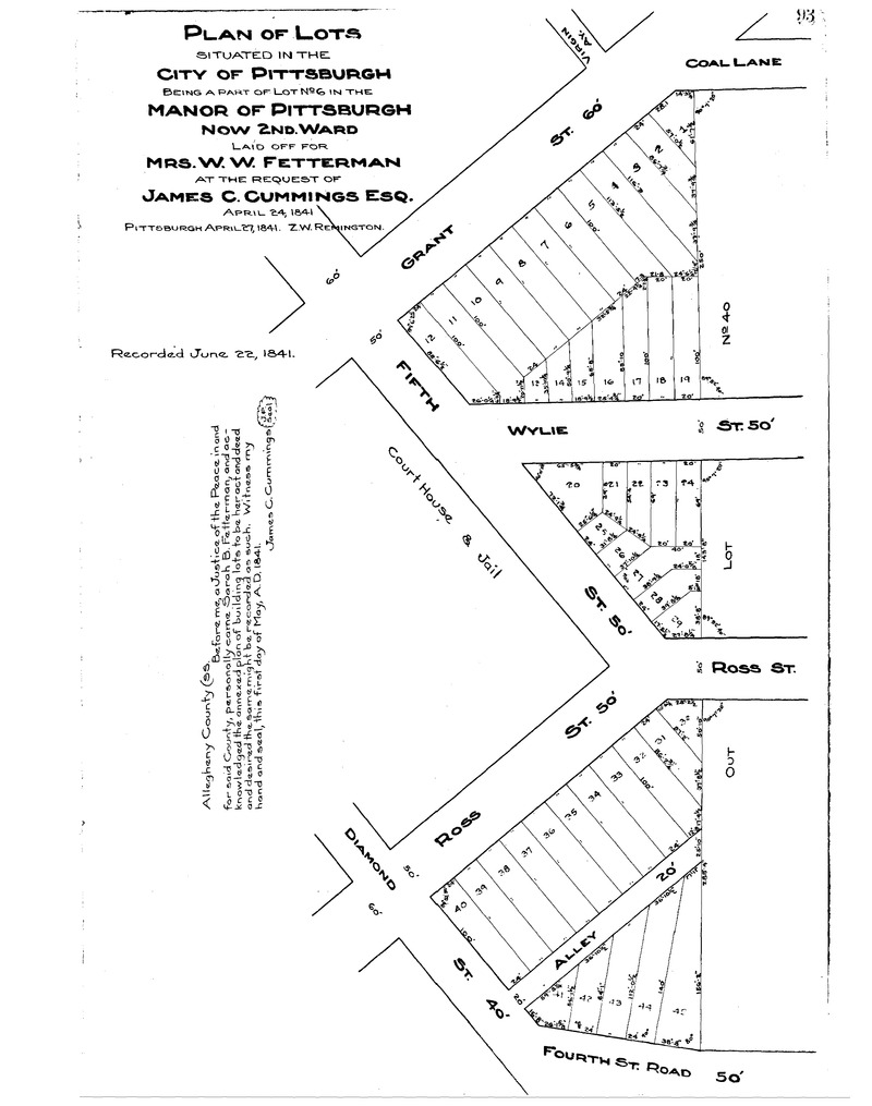
"Plan of lots situated in the City of Pittsburgh: Being a part of lot № 6 in the Manor of Pittsburgh: Laid off for Mrs. W. W. Fetterman at the request of James C. Cummings Esq." Laid out Apr. 24, 1841; recorded June 22, 1841, Plan Book 1, p. 93. Allegheny County Recorder of Deeds 3778192.
