Source:Numont-plan
From Pittsburgh Streets
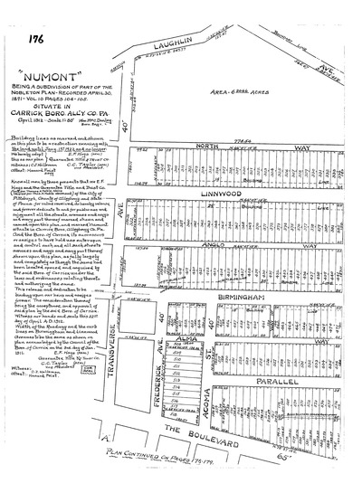
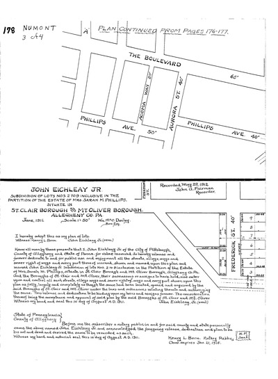
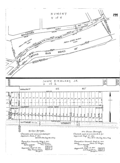
"'Numont': Being a subdivision of part of the Nobleton plan – recorded April 30, 1891 – vol. 10 pages 104–105: Situate in Carrick Boro. All'y. Co. Pa." Laid out Apr. 1912; recorded May 7, 1912, Plan Book 25, pp. 176–179. Allegheny County Recorder of Deeds 3782919.
