Source:John-chislett-est-plan
From Pittsburgh Streets
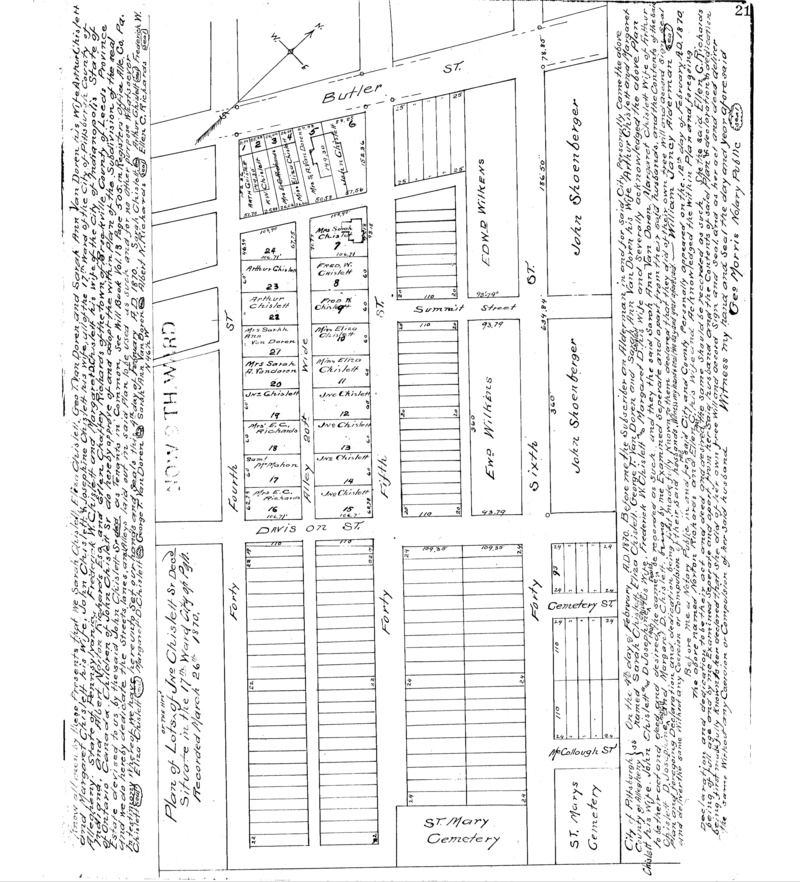
"Plan of lots of Jno. Chislett Sr decd.: Situate in the 17th Ward City of Pgh." Recorded Mar. 26, 1870, Plan Book 4, p. 21. Allegheny County Recorder of Deeds 3778789.
"Plan of lots of Jno. Chislett Sr decd.: Situate in the 17th Ward City of Pgh." Recorded Mar. 26, 1870, Plan Book 4, p. 21. Allegheny County Recorder of Deeds 3778789.