Source:Jacob-dahlem-heirs-plan

From Pittsburgh Streets

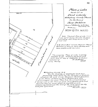
"Plan of lots laid out in East Liberty Allegheny County Penn'a. for the heirs of Jacob Dahlem." Recorded Sept. 3, 1867, Plan Book 3, pp. 200–201. Allegheny County Recorder of Deeds 3778630, 3778636.