Source:Highfield-plan

From Pittsburgh Streets

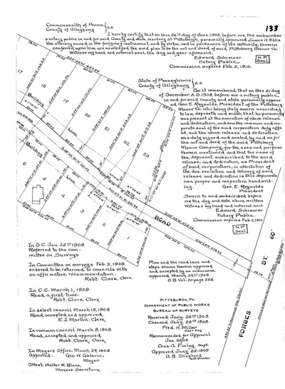
"Highfield plan of lots: Laid out by the Pittsburg Manor Company." Laid out May 7, 1908; recorded Apr. 1, 1909, Plan Book 24, pp. 132–133. Allegheny County Recorder of Deeds 3782705.