Source:Glenwood-plan
From Pittsburgh Streets
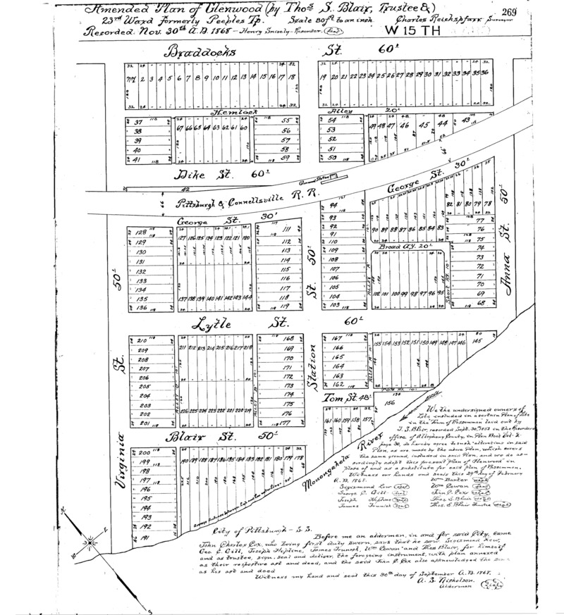
"Amended plan of Glenwood (by Thos. S. Blair, Trustee &): 23rd Ward formerly Peebles Tp." Recorded Nov. 30, 1868, Plan Book 3, p. 269. Allegheny County Recorder of Deeds 3778716.
"Amended plan of Glenwood (by Thos. S. Blair, Trustee &): 23rd Ward formerly Peebles Tp." Recorded Nov. 30, 1868, Plan Book 3, p. 269. Allegheny County Recorder of Deeds 3778716.