Source:Friendship-park-rev-plan
From Pittsburgh Streets
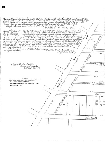
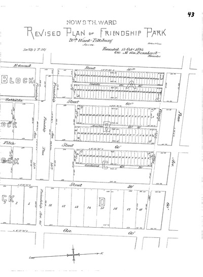
"Revised plan of Friendship Park: 20th Ward · Pittsburg." Laid out Apr. 1894; recorded Oct. 13, 1894, Plan Book 15, pp. 42–43. Allegheny County Recorder of Deeds 3781096.
"Revised plan of Friendship Park: 20th Ward · Pittsburg." Laid out Apr. 1894; recorded Oct. 13, 1894, Plan Book 15, pp. 42–43. Allegheny County Recorder of Deeds 3781096.