Source:Fahnestock-place-plan

From Pittsburgh Streets

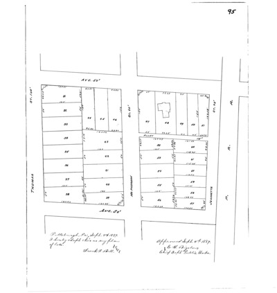
"Fahnestock Place, 21st Ward, Pittsburgh: Laid out for F. P. Bell." Laid out Aug. 1889; recorded Sept. 23, 1889, Plan Book 9, pp. 94–95. Allegheny County Recorder of Deeds 3780201.