Source:Bailey-moon-plan-3
From Pittsburgh Streets
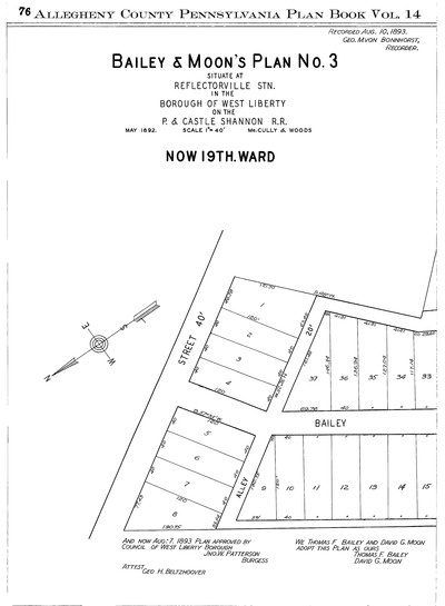
"Bailey & Moon's plan no. 3: Situate at Reflectorville Stn. in the Borough of West Liberty on the P. & Castle Shannon R. R." Laid out May 1892; recorded Aug. 10, 1893, Plan Book 14, pp. 76–77. Allegheny County Recorder of Deeds 3780977.
